Locamahal Veliefendi Residence Infrastructure Projects


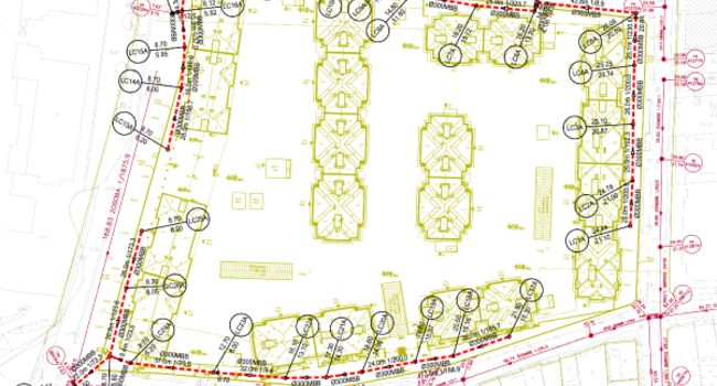
Preparation of infrastructure projects of Kiptaş Locamahal Veliefendi residences consist of preparation of wastewater, stormwater, drinking water and natural gas final designs and getting approval of the relevant administrations. According to the mechanical projects of the houses, directing the wastewater outlets to the existing network, directing the drainage of the roof and the surface rainwater drainage to the receiving environment, providing the point of source from the existing drinking water network and connecting to the site drinking water network and providing the natural gas to fulfil the demands of the site from the existing natural gas network works were done.

  • Location: Bakırkoy/Istanbul
  • Category: Water & Hydraulics
  • Investor: KİPTAŞ
  • Tags: Infrastructure, Wastewater, Drainage, Tap Water

This website stores cookies on your computer. These cookies are used to collect information about how you interact with our website and allow us to remember you. We use this information in order to improve and customize your browsing experience and for analytics and metrics about our visitors both on this website and other media. To find out more about the cookies we use, see our Privacy Policy.